
Le doryphore de la pomme de terre est capable de détruire complètement la majeure partie de la récolte de pommes de terre en quelques jours, voire quelques heures. Et pas seulement lui. « Consommateur » naturel des cultures de solanacées, cet insecte est capable, en l'absence de son objectif principal, d'infecter également d'autres plantes. Parmi eux peuvent figurer : tomates, physalis, aubergine, poivrons. Regardons les meilleurs remèdes pour le doryphore de la pomme de terre.
Contenu:
Lire aussi : Chaudière à combustible solide pour le chauffage d'une maison privée | TOP-12 Meilleur: Note + Avis
La description
Il existe plusieurs dizaines de méthodes pour lutter contre le doryphore de la pomme de terre, mais la plupart d'entre elles prennent beaucoup de temps et sont inefficaces.

Coléoptère du Colorado
Le plus triste est le fait que l'ennemi naturel du coléoptère, la mouche doryphora, n'a pas pu quitter le Colorado., contrairement à sa victime, qui s'est parfaitement adaptée aux autres conditions climatiques.

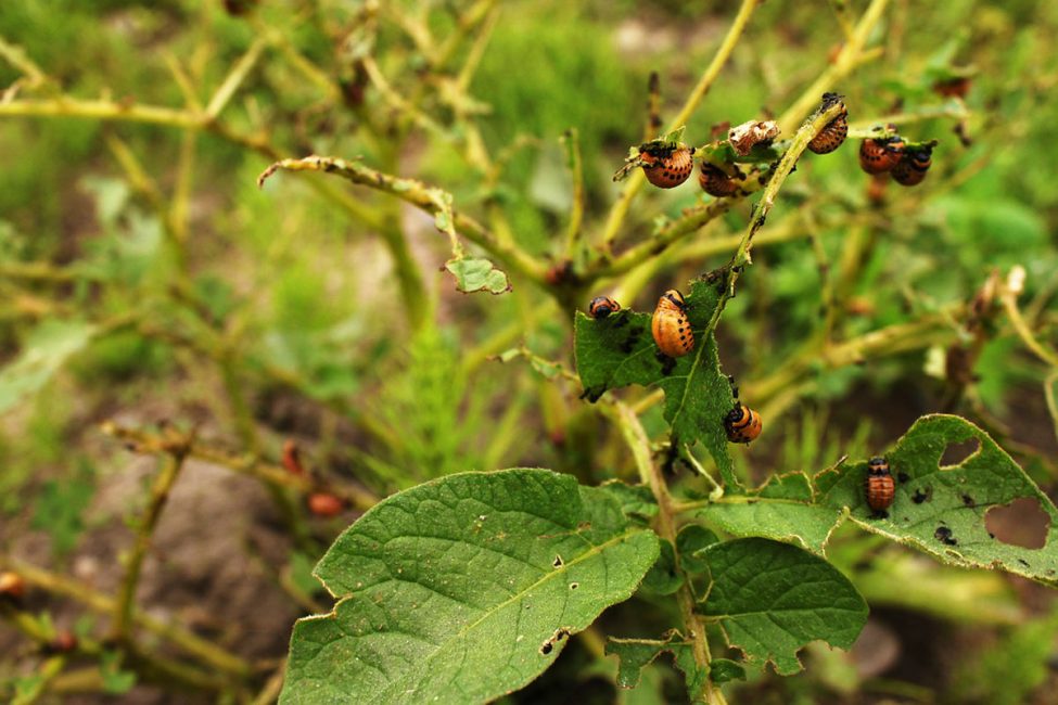
Larves de doryphore de la pomme de terre
De plus, comme le coléoptère accumule de la solanine dans son corps, qui est riche en tiges et en feuilles de nombreuses solanacées, il devient non comestible pour la plupart des oiseaux et des reptiles. De tous les oiseaux vivant dans un climat continental tempéré, seule la pintade peut manger un coléoptère.
Lire aussi : Convecteur pour la maison et le jardin | TOP 12 Best : revue de modèles éprouvés + Avis Enjeux généraux de la lutte contre le doryphore de la pomme de terre

Ainsi, la seule façon acceptable de lutter contre cet insecte est de l'exterminer à l'aide d'insecticides spécialisés.. La lutte contre ce ravageur doit tenir compte des caractéristiques du cycle de vie des coléoptères, c'est ainsi que l'efficacité maximale sera obtenue à partir de tous les moyens qu'il est prévu d'utiliser.
Considérez plus en détail le cycle de vie et les caractéristiques du développement du coléoptère:
Les coléoptères hibernent à des profondeurs de 30 à 50 cm, ceux d'entre eux qui ne sont pas gelés en hiver remontent à la surface, commencent à se nourrir de jeunes pousses (pas nécessairement solanacées) et s'accouplent. De plus, si la femelle coléoptère s'accouplait à l'automne, puis au printemps, quittant l'hibernation, elle pond immédiatement des œufs.
Les coléoptères sortent de leurs cachettes hivernales lorsque les gelées ne sont plus à prévoir. Habituellement, cela se produit lorsque la température de l'air se stabilise autour de + 12-15 ° C et que de fortes précipitations ne sont pas attendues. Le pic de ce résultat tombe sur les dix derniers jours d'avril - les dix premiers jours de mai.

Oeufs de doryphore de la pomme de terre
En une journée, la femelle coléoptère est capable de pondre plusieurs dizaines d'œufs.; pendant toute la vie de la femelle, le nombre d'œufs peut atteindre environ un millier (selon certaines sources - sept cents).
Ainsi, la population d'une seule femelle peut se transformer en un centre de distribution de coléoptères à l'échelle régionale. V régions du nord les coléoptères survivent rarement à une génération, cependant, dans le sud (régions de Kouban, Rostov et Astrakhan, Kazakhstan, Ukraine, Moldavie), il peut y avoir deux ou trois générations de doryphores, selon la température et la durée de la saison chaude. Cela signifie qu'en fait, des mesures préventives pour lutter contre le coléoptère devraient déjà commencer à ce stade.
Les larves quittent les œufs déjà le 5ème jour, dans des conditions météorologiques désagréables - le 15. Afin de lutter avec succès contre les ravageurs à ce stade, vous devez empêcher l'émergence d'un grand nombre de larves et détruire le maximum d'insectes avant qu'ils ne pondent.

Le cas où les mesures prises se sont avérées inutiles ou intempestives
Les larves gagneront en masse pendant environ trois semaines, puis elles s'enfouiront dans le sol et se transformeront en pupes. Soit les pupes ont le temps de se transformer en insectes adultes et sortent à la fin de l'été, soit elles hibernent jusqu'à l'année suivante, puis se transforment en adultes au printemps suivant. Les coléoptères adultes à la recherche de nouveaux lieux d'alimentation ou de méta-hivernage sont capables de voler jusqu'à 10 km par jour.

Ils peuvent aussi voler !
Le cycle de vie du doryphore de la pomme de terre est de plusieurs mois, cependant, ces insectes ont une capacité unique à entrer dans un état de diapause - plusieurs mois d'hibernation, qui peuvent atteindre jusqu'à 3-4 ans.. C'est pourquoi les coléoptères deviennent capables de produire une progéniture immédiatement au milieu du printemps (à partir de femelles adultes fécondées ayant hiverné), et c'est la raison de l'impossibilité de leur élimination totale. Eh bien, du moins pas encore…
Les moyens modernes de lutte contre les coléoptères créés par l'industrie chimique sont assez efficaces et l'état du problème est maintenant bien meilleur qu'il y a 20 à 30 ans. Il est fort possible qu'il existe bientôt une méthode universelle pour l'extermination complète du doryphore de la pomme de terre.
Lire aussi : TOP 10 des meilleurs chargeurs de batterie de voiture | Prix + avis
Installations. Classification
Les insecticides spécialisés contre ce type d'insectes peuvent être classés selon plusieurs paramètres.
Dans le cas général, les remèdes contre le doryphore de la pomme de terre appartiennent aux classes suivantes :
- Fonds de spécialisation étroite. Leur utilisation est limitée à une seule forme d'insecte. Certains remèdes n'aident que contre les larves, d'autres seulement contre les coléoptères adultes et matures.
- Usage général ou universel. De telles armes sont capables d'endommager nuisiblestraversant n'importe quelle phase du cycle de vie.
Ces derniers, remèdes universels, sont plus actifs chimiquement et ont un effet plus fort à la fois sur les coléoptères et les plantes (et, si les normes de sécurité ne sont pas respectées, sur les humains). Naturellement, pas tous, mais bon nombre des moyens de ce groupe sont phytotoxiques, c'est-à-dire qu'ils affectent négativement la croissance. pommes de terre et la maturation de ses tubercules.

Pommes de terre avant la plantation
S'il y a une telle possibilité désagréable, il est recommandé de ne pas traiter avec de tels moyens dans tous les cas Patatedestiné à être planté l'année prochaine. Dans le meilleur des cas, après un tel traitement, cela donnera des semis et une progéniture très faibles, dans le pire des cas, cela ne germera pas du tout.
Au moyen de l'influence

planter des pommes de terre
À leur tour, selon les méthodes d'utilisation, les fonds contre le doryphore de la pomme de terre sont divisés engroupes suivants :
- préparations de marinagecréé pour le "traitement" des tubercules (ce terme désigne un traitement spécial des tubercules avant la plantation);
- préparations en spray; sont utilisés pour l'application sur les feuilles ou les tiges à l'aide de pulvérisateurs.
La principale classification actuellement utilisée répartit ces agents selon les méthodes d'influence sur les ravageurs.
Ils sont:
- Contact signifie. La défaite des coléoptères nuisibles se produit lorsque les insectes entrent en contact avec les tiges, les feuilles ou les fleurs traitées du buisson qu'ils attaquent. Ces fonds présentent un inconvénient important: pendant les pluies, les arrosages ou tout autre moyen d'arroser la plante, ils sont lavés. Cette dernière consiste à pulvériser de tels produits par temps sec, lorsque la pluie n'est pas prévue, et qu'aucun arrosage n'est prévu.
- Par voie intestinale. Ces substances pénètrent dans le corps des coléoptères par leur nutrition.
- Outils système. Cette catégorie de fonds pénètre à l'intérieur de l'usine, la remplissant presque entièrement. À la suite d'une telle exposition, les feuilles et les tiges des plantes deviennent toxiques pour les coléoptères.
Par ingrédient actif

Chasse aux nuisibles
Les principaux ingrédients actifs contre les doryphores de la pomme de terre sont :
- Avermectines. Ils sont un produit de l'activité vitale des champignons streptomycétames. Ils peuvent également être produits industriellement. Le plus souvent, la composition de l'insecticide contre le coléoptère comprend une modification telle que l'avertine-N ou l'aversectine-S. Le premier a un bon effet sur les larves et les adultes, le second sur toutes les formes du coléoptère, y compris les œufs et les pupes. Cependant, il convient de rappeler que les préparations intestinales et de contact à base d'avermectines présentent peu de danger pour l'homme, cependant, elles peuvent être toxiques pour d'autres insectes, tels que les abeilles. Par conséquent, l'utilisation de tels médicaments à proximité des ruchers est recommandée avec prudence.
- Pyréthrines. Ce sont des substances contenues dans les cellules des plantes de la famille des Astéracées. Ils peuvent également être synthétisés artificiellement. Les moyens basés sur eux bloquent le système nerveux des coléoptères, provoquant leur mort. De plus, comme le groupe précédent, ils sont peu toxiques pour l'homme, mais toxiques pour les poissons et les abeilles. De plus, à des températures élevées (supérieures à + 25 ° C), leur effet est considérablement affaibli jusqu'à son absence totale.
- Composés de phosphore. Moyens contre les insectes appartenant à la troisième classe de danger. Avec une exposition prolongée à faible concentration, les coléoptères peuvent généralement développer une immunité aux médicaments de ce groupe.
- néonicotinoïdes. Ces substances sont utilisées pour créer des remèdes systémiques contre les doryphores de la pomme de terre.
Lire aussi : TOP 10 des meilleurs arroseurs pour l'arrosage : comment choisir un appareil pour l'entretien de la pelouse et du jardin ? | Note + Avis Comment les insecticides sont-ils utilisés
La faible toxicité de tout insectifuge ne signifie pas qu'il peut être utilisé sans crainte pour votre santé. Cela signifie que l'acquisition et l'utilisation de tels médicaments nécessitent certaines précautions.

pulvérisation pommes de terre
Considérez-les :
- il est nécessaire d'acheter uniquement des médicaments certifiés et conformes aux normes
- Il est interdit d'utiliser des insecticides périmés
- inaccessibilité pendant le stockage pour les enfants ou les animaux domestiques
- les conditions de stockage des médicaments doivent être conformes à leurs instructions; endroit généralement sec, sombre et frais
- le poison est dissous dans de l'eau (ou d'autres solvants) exactement selon les instructions et aux doses qui y sont indiquées ; une surdose de médicament peut être très dangereuse pour les personnes et l'environnement
- chaque médicament est compatible (ou non compatible) avec tout autre médicament ; ces informations doivent être indiquées dans les instructions ; l'usage de drogues incompatibles au même endroit au même moment est interdit
- les solutions de pulvérisation doivent être préparées uniquement avant leur utilisation (au plus tôt - deux heures avant la pulvérisation)
- il est préférable de pulvériser les pommes de terre le matin ou le soir par temps sec
- la personne impliquée dans la pulvérisation doit porter des vêtements spécialisés - une combinaison qui protège la peau d'un éventuel contact avec le médicament; l'utilisation d'équipements de protection tels que des lunettes, un respirateur et des gants est obligatoire
- pendant la pulvérisation, il est interdit de manger, boire, fumer; parler n'est pas non plus recommandé.
- si l'insecticide entre en contact avec la peau, il est recommandé de le laver abondamment à l'eau courante
- les restes de la solution ne doivent pas être évacués à l'égout; ils doivent être versés dans un trou creusé dans le sol quelque part dans un terrain vague, puis ce trou doit être enterré
- à la fin de la pulvérisation, il est nécessaire de laver le pulvérisateur, de bien laver les vêtements de travail et le travailleur lui-même prend une douche après s'être lavé avec du savon à lessive
- chaque insecticide agit pendant un certain temps ; le retraitement avant cette période n'est pas autorisé ; le temps est dans les instructions.
Lire aussi : TOP 12 Meilleurs cisailles de jardin : choisir un outil pour couper l'herbe, les buissons et les haies | Classement 2019 + Avis
Lutte antiparasitaire populaire
Préparations utilisées pour l'habillage
Des moyens de ce type sont capables de protéger les jeunes pommes de terre seulement pendant un certain temps. Une fois ce temps écoulé, la décomposition chimique de l'insecticide se produit. Pour que les coléoptères à la fin de cette période ne puissent pas endommager les plantes, il est nécessaire de traiter à nouveau le site, mais en utilisant d'autres moyens.

Prestige, SC
C'est un médicament du principe du système de travail. Le fabricant est le groupe chimique allemand Bayer. La composition du médicament comprend les substances actives suivantes:
- imidiaclopride; un insectifuge mis au point il y a plus de dix ans et présentant une excellente caractéristique : la protection des tubercules traités avec celui-ci conserve son efficacité pendant un mois et demi ; en plus du doryphore de la pomme de terre, les tubercules seront protégés des cigales, pucerons, tiques ; et les parasites du sol (medvedki, Khrouchtchev, taupins et scoops) contourneront le site;
- pencecuron; remède contre les infections fongiques; le temps de protection des pommes de terre contre diverses formes de champignons est d'environ 40 jours; ces maladies comprennent tout d'abord le mildiou et le rhizoctora;
L'outil appartient à la troisième classe de danger. La concentration de travail pour l'utilisation de cet agent est de 1 à 20.
Les taux de consommation sont les suivants : 1 ml de médicament est consommé pour 1 kg de pommes de terre. Un traitement avant la plantation est effectué: les tubercules sont déposés en une seule couche sur une bâche ou un sol et ils sont pulvérisés avec une solution préparée précédemment. La solution a une couleur rose, il est donc visible pour le strass à quel point les tubercules en seront recouverts. Lorsque la solution sèche, une fine couche de film se forme sur les tubercules.
Une fois la solution sèche, les tubercules doivent être retournés pour pulvériser leur partie inférieure. Ensuite, ils doivent être séchés à nouveau, puis procéder à la plantation. Ceci est obligatoire : plantez de manière à ce que les deux côtés de la pomme de terre sèchent, sinon l'efficacité du produit diminuera sensiblement. Il est également recommandé de traiter les pommes de terre à proximité du site de plantation afin que le film insecticide ne soit pas décollé du corps du tubercule pendant le transport.
Puisque l'agent pénètre dans la tige et les feuilles de la plante, les coléoptères, commençant à s'en nourrir, meurent immédiatement, sans même avoir le temps de pondre leurs œufs. Dans les tubercules qui se forment à nouveau sur le buisson, et qui seront ensuite retirés au fur et à mesure récolter, l'agent ne pénètre pas. Une fonction supplémentaire du médicament est de stimuler la croissance d'un buisson de pomme de terre et effet anti-stress, car les spécimens traités avec lui supportent beaucoup plus facilement une baisse de température et un manque d'eau. Lorsqu'il expire, le produit se décompose complètement en composants non dangereux.

"Tabou"
Également un insectifuge systémique basé sur le même médicament, l'imidiaclopride. Semblable à la préparation précédente, il produit une protection complète de la plante non seulement contre le doryphore de la pomme de terre, mais également contre le taupin et d'autres parasites. Signifie que "Taboo" peut être utilisé en conjonction avec des fongicides.
La solution est faite comme suit : 8 ml de produit doivent être dissous dans un litre d'eau. Ce sera tout à fait suffisant pour traiter environ un centième de tubercules de pomme de terre. La composition de ce médicament comprend des tensioactifs collants qui peuvent créer un film mince et durable à sa surface qui maintient l'insecticide autour du tubercule. Le film est suffisamment résistant, ce qui permet de décaper les tubercules loin du site de plantation ; pendant le transport, la protection contre les tubercules ne s'effondrera pas.
Pour une meilleure visibilité de la couche gravée, elle a une couleur rose. Étant donné que les germes peuvent être blessés lors du retournement des pommes de terre germées, Taboo peut être utilisé pour traiter les tubercules directement dans les trous de plantation. Pour pulvériser 100 m². m zone doit être dilué dans 10 litres d'eau 4 ml de médicament. Dans ce cas, la solution doit être rendue homogène ; ceci peut être réalisé de la manière suivante : au début, l'agent est dissous dans un verre d'eau tiède, puis le verre résultant d'agent hautement concentré est versé dans un récipient de 10 litres.
Les tubercules sont placés dans les trous, puis ils sont pulvérisés avec une consommation moyenne d'environ 30 ml de produit par tubercule. Le poison imprègne les pousses et les feuilles de la plante, mais ne pénètre pas dans les tubercules. La durée du médicament est de 1,5 mois, ce qui, compte tenu du cycle de vie du doryphore de la pomme de terre, ne permet pas à ce dernier d'avoir le temps de pondre.
Pulvérisateurs de brousse

Signifie "Aktara"
Également un remède systémique, mais basé sur le médicament thiaméthoxame. Il a la capacité d'être presque instantanément absorbé par le feuillage et les tiges des buissons de pommes de terre, les transformant en un poison non seulement pour les coléoptères, mais aussi pour presque tous les lépidoptères.
L'action du médicament est basée sur le blocage du système nerveux des insectes., leur mort survient environ un jour après son utilisation ; en même temps, pendant ces jours, les insectes ne peuvent pas manger.

Signifie "KORADO"
Produit à base d'imidiaclopride. A un effet systémique. Environ 60 à 80 minutes après son entrée dans le corps d'un insecte, il est impossible de le nourrir. La mort survient en 2 à 3 jours environ. Le médicament n'est pas suffisamment résistant à l'humidité, il est donc recommandé de l'utiliser en l'absence de vent et de précipitations le soir ou le matin. Dans les cas extrêmes, il est permis d'utiliser le médicament avant l'arrosage (ou la pluie), mais au plus tard 4 heures avant.
Le produit est conditionné en ampoules de 1 et 5 ml ou en flacons de 10 ml. Consommation de fonds par 100 m². m est de 1 ml pour 10 litres d'eau. La durée des fonds est d'environ 30 jours. Cet insecticide est autorisé à traiter les pommes de terre une seule fois par saison.

"Tueur"
Préparation intestinale de contact à base de composés de chlorpyrifis et de cyperméthrine. Tue presque tous les ravageurs de la pomme de terre résistants aux composés organophosphorés. Il est recommandé d'appliquer par temps calme et sec à une température ne dépassant pas +22°C..
La consommation du médicament est d'environ 100 ml pour 100 m². m Ce volume est dissous dans 10 litres d'eau. La période d'activité du médicament est de 3 semaines. De plus, comme d'autres insecticides, il est permis de traiter les pommes de terre avec lui une seule fois par saison. De plus, ce traitement ne doit pas avoir lieu plus d'un mois avant la récolte.

Monument aux scarabées. Des agriculteurs "reconnaissants" de Hongrie en l'honneur du 50e anniversaire de son apparition dans le pays
VIDÉO : POMMES DE TERRE. POURQUOI LE COLORADO BEETLE EST-IL RÉAPPARU ?
TOP-5 des remèdes contre le doryphore de la pomme de terre. Description de la vie du ravageur, classification des moyens contre lui (Photo & Vidéo) + Avis
Corado dans une telle chaleur est pratiquement inutile ; je traite des pommes de terre en petits volumes, car il y a peu de terres de seulement 10 acres, donc il y a deux jours, j'ai traité les pommes de terre avec soin ; faux officiel exclu
Essayez les fleurs "Scented Tobacco" - un appât toxique pour le coléoptère. Il fonctionne correctement depuis les années 40 du 19ème siècle. Essayez-le, il n'y a pas beaucoup de travail, mais nous n'avons pas vu de coléoptère depuis plus de 10 ans. Si vous gérez, et vous ne le ferez pas.
Je ne sais pas à quel point un remède peut être efficace à partir d'une plante qui détruit avec un grand plaisir et un appétit exorbitant ?! (Nous n'avons pas planté de pommes de terre cette année)
Je ne sais pas d'où vous venez, donc je ne peux rien dire sur le timing. Vous avez une erreur logique, vous n'avez pas besoin de cuisiner quoi que ce soit à partir de tabac parfumé, c'est le poison du scarabée. C'est juste que vous ne voyez pas cela en pleine terre - les coléoptères et leurs larves viennent, sont empoisonnés, ils sont remplacés par de nouveaux qui viennent de l'extérieur, et l'image sous vos yeux ne change pas - les coléoptères mangent du tabac parfumé avec appétit. Vous ne les marquez probablement pas.
Essayez de répéter mon "Expérience sur la table". Le deuxième lot de coléoptères m'a été apporté à la mi-août. C'est maintenant la fin juin, environ 1,5 mois jusqu'à la mi-août, qui devrait suffire pour faire pousser des semis de tabac parfumé à une taille acceptable. Répétez l'expérience et vous verrez de VOS yeux à quel point le tabac parfumé peut être efficace lorsqu'il est utilisé correctement. Il suffit de ne pas planter plus de trois ou quatre coléoptères dans un bocal, il se peut qu'il n'y ait pas assez de tabac parfumé pour tout le monde.
Impossible d'accéder à votre adresse. Pouvez-vous me dire comment utiliser les fleurs de tabac parfumé d'insectes ?
HM...
Je ne sais pas exactement quelle substance, mais mon père en pulvérise les pommes de terre même lors de la plantation, et il n'y a pas de coléoptères en cours de route pendant toute la période de croissance. Ici, cependant, je ne sais pas exactement quel type de poison, la couleur est rose, voire lilas. Mais c'est certainement un remède efficace, car ils ont oublié le problème des coléoptères.
Ce serait formidable si vous découvriez encore le nom de cette substance "rose")
PRESTIGE
Régent essayé.
Il a tué toutes les pousses. Les pommes de terre sont arrivées deux semaines plus tard, et pas toutes ! Il y avait environ une douzaine de coléoptères morts, et les autres ont été interrompus par d'autres, et après 1-2 semaines, ils broutaient tranquillement des pommes de terre transformées par Prestige.
En raison des pousses tardives et de leur croissance inhibée, plus la sécheresse - et je n'ai pratiquement pas eu de récolte !!!
Et encore une chose ... L'article est intelligent, mais il promettait cinq meilleurs remèdes et n'indiquait que trois actes, tueur et imidaclopride dans les variétés.
Il n'y a pas d'industrie chimique en Russie. les pesticides sont achetés à l'étranger par toutes sortes de SARL, dans le pays ils sont conditionnés en ampoules
Cette année, le scarabée ne prend rien. vous éclaboussez, le coléoptère tombe, puis reprend ses esprits et rampe à nouveau sur le buisson.Je suis habitué aux antibiotiques comme les gens.
Pourquoi l'imidaclopride est-il écrit sur l'emballage du tueur, alors que vous écrivez des composés complètement différents ? L'imidacloprine est un composé azoté, tandis que le vôtre est du phosphore.
24 mai 1950 Des Américains « reconnaissants » ont pulvérisé des tonnes de coléoptères sur la RDA et la Hongrie.
Baba Maria a raconté comment elle était en Allemagne pendant la guerre, ils ont été emmenés hors de l'URSS pour le travail, les Américains ont jeté des filets depuis des avions, certains filets ne se sont pas cassés, et tout le monde est allé voir ce que c'était ...