
Si vous êtes un amoureux des plantes d'intérieur, alors la fleur de campanule, communément appelée la "mariée et le marié", ne vous laissera pas indifférent. Quand j'ai mis la main sur cette plante pour la première fois, j'étais tout simplement fasciné.
Contenu:
Lire aussi : Fleur de Kalanchoe (120+ photos et vidéos) - soins à domicile, transplantation, reproduction, propriétés utiles + Avis
introduction
Comment ai-je rencontré pour la première fois la belle fleur "Bride and Groom" ? Ma passion est la culture de plantes d'intérieur. Ils décorent abritent des fleurs exceptionnellement lumineuses et des feuilles panachées. Regarder comment les animaux de compagnie verts se développent est très intéressant. Au printemps, un ami m'a donné une petite bouture de plante et m'a dit qu'elle s'appelait "les mariés".

Les gens ont donné à une fleur appelée campanule un nom romantique "marié et marié"
Je l'ai mis dans l'eau et quelques semaines plus tard, lorsque les racines sont apparues, j'ai atterri dans pot. J'ai utilisé un mélange de sol de serre et de terre à feuilles, de tourbe et de sable. La tige a facilement pris racine, est allée à la croissance.
J'ai mis le récipient avec la plante dans une casserole profonde et j'y ai versé de l'eau décantée tous les matins afin que la plante ne manque pas d'humidité. Une fois toutes les deux semaines, j'ai arrosé avec des engrais spéciaux pour plantes à fleurs. Plantes d'intérieur.
Pousses latérales à croissance rapide, j'ai pincé, et bientôt le buisson est devenu très ramifié et luxuriant, de nombreux bourgeons y sont apparus, qui ont fleuri les uns après les autres.

Composition de la campanule et du coleus
Et d'une manière ou d'une autre, la plante était couverte des fleurs les plus délicates. La plante des mariés avait fière allure sur la fenêtre. Pour l'été, je l'ai mise sur le balcon, où elle se sentait particulièrement bien.
Après une longue floraison en fin d'été, la campanule a perdu son feuillage, les pousses se sont étirées, je les ai soigneusement coupées et mis le récipient au frais. Avec l'arrivée du printemps, elle a recommencé à arroser les plantes, à les poser sur le rebord de la fenêtre. Bientôt, de nouvelles pousses sont apparues et déjà à la mi-mai, le "marié et la mariée" étaient à nouveau satisfaits de leur floraison.
Lire aussi : Azalée - description, soins, reproduction et maladies possibles (35 Photos & Vidéos) - Nous observons la technique de culture La description

Hybride à fleurs de lilas
La campanule est une plante d'intérieur bien connue qui appartient à la famille des cloches. A l'état sauvage, on le trouve dans de nombreux pays d'Europe du Sud.
Un nombre important d'espèces de cette plante ont été cultivées et sont maintenant activement utilisées comme plante d'intérieur.
- La campanule est à la fois annuelle et vivace.
- Les plantes sont de formes diverses, de couleurs de fleurs, de tailles, il existe des formes hybrides en éponge.
- En tant que culture d'intérieur, la campanule à feuilles égales est cultivée. Cette plante est vivace, à pousses fines, parfois rampantes, dans de rares cas pendantes jusqu'à 25 cm de long.
- La disposition des feuilles est régulière, les limbes des feuilles sont attachés aux tiges à l'aide de pétioles allongés.
- La forme de la feuille est en forme de cœur ou ovale avec de petites dents. Les feuilles sont de couleur vert clair à vert foncé.
- Les fleurs sont rassemblées en inflorescences de plusieurs morceaux, après la floraison un petit fruit apparaît sous la forme d'une boîte.
- Parmi les amateurs de fleurs d'intérieur, l'hybride le plus courant est Alba (à fleurs blanches) et Maya (à fleurs bleues ou violettes). Dans le peuple, on les appelle "le marié et la mariée".

Hybride "Alba"
Tous les représentants de la famille des cloches ne sont pas très exigeants, ils ont besoin du plus élémentaire - arrosage, éclairage modéré, top dressing périodique.
Lire aussi : Grenade à la maison: culture à partir de graines et de soins, propriétés utiles et contre-indications (Photo & Vidéo) + Avis
Éclairage

Cette plante n'est pas exigeante en éclairage. Il n'est pas recommandé de pousser sur les fenêtres sud et nord. Lorsqu'elles sont cultivées sur des rebords de fenêtres orientés au sud, il est recommandé de protéger les plantes de la lumière du soleil, créant ainsi de l'ombre.

Il est souhaitable que la lumière soit vive, mais diffuse.
Si vous faites pousser de la campanule sur la fenêtre nord, vous risquez d'étirer les pousses. Dans de telles plantes, la distance entre les feuilles augmente, l'aspect décoratif de la plante en souffre.
Les plantes aiment beaucoup la lumière, mais ont peur de la lumière directe du soleil, surtout pendant les chaudes journées d'été. Donnez-leur un peu d'ombre.
Lire aussi : Orange : description, plantation, culture à la maison, reproduction et entretien (Photo & Vidéo) + Avis Température

Thermomètre pour contrôler la température dans la pièce
Au printemps et en été, la température la plus optimale est de 23 à 26 ° C, en hiver, il est préférable de maintenir les plantes à basse température de plus 12 à plus 14 ° C.
Ne laissez pas la plante sur le rebord de la fenêtre en hiver, sous laquelle elle se trouve Radiateur, il est préférable de le transférer dans un endroit frais, mais gardez à l'esprit que la limite inférieure est de + 12 ° C. N'ayez pas peur des changements de température, car ces plantes les tolèrent assez bien.
La campanule a tendance à s'adapter à différentes températures et, grâce à cette propriété, une plante à fleurs peut être transférée d'une pièce à un balcon, dans les deux sens, sans crainte de conséquences négatives.
Lire aussi : Hippeastrum home flower - un hybride aux multiples facettes: description, types, soins, culture, reproduction et autres informations utiles (160 Photos) + Avis
Arrosage et humidité

La campanule aime l'eau
Quant à l'arrosage, son schéma est classique : abondant en été, modéré en hiver.
Lire aussi : Hémérocalles: description, classification des variétés, culture, soin et reproduction (Photo & Vidéo) + Avis les engrais

L'utilisation d'engrais complexes vous permettra d'obtenir des fleurs de couleur vive
Utilisez des engrais minéraux et organiques 2 à 3 fois en trente jours (printemps et été). Arrosez une fois toutes les deux semaines avec un engrais spécial pour les plantes d'intérieur à fleurs.
Lire aussi : Cultiver un caféier à la maison, variétés, plantation et soins, reproduction, maladies possibles: barista lui-même (Photo & Vidéo) + Avis État de repos
À la fin de l'été - au début de l'automne, la campanule cesse de croître, elle entre dans un état de repos. À ce moment, vous devez couper les pousses allongées, mettre le pot dans un endroit frais, limiter arrosage.
Avec l'arrivée des jours de printemps, la fleur prend vie, se réveille, fait germer de nouvelles pousses et est transférée dans un endroit chaud.
Lire aussi : Mangue: description, plantation et culture à partir de la pierre à la maison, maladies possibles (Photo & Vidéo) + Avis Le sol

Préparation du sol
La campanule aime les sols meubles et riches en oxygène. Il est important que les racines respirent bien pour que le sol ne se comprime pas. Un mélange d'humus, de feuillage pourri, tourbe et du sable en volumes égaux.
Lire aussi : Maison de chrysanthèmes : description, variétés, culture en pots, soins et reproduction, maladies possibles (40+ Photos & Vidéos) + Avis Transfert
À la fin de l'été, la végétation de la plante s'arrête et nécessite une préparation pour entrer dans un état de dormance. La méthode de reproduction la plus acceptable est végétative.: boutures, pousses vertes, en divisant le buisson en plusieurs parties.
Les plantes doivent être rempotées plus souvent. La plupart des plantes ornementales aiment les transplantations assez fréquentes.

Transplanter des plantes d'intérieur
Le fait est qu'avec une culture à long terme, quelle que soit la beauté de la plante, elle finit par perdre son effet décoratif, les pousses s'allongent, la distance entre les feuilles augmente. Il n'a plus l'air si chic et moelleux, comme s'il était "chauve".
Pour éviter cela, coupez-le et formez de nouveaux buissons à partir des boutures résultantes. Après une longue floraison en fin d'été, la campanelle perd son feuillage, les pousses s'étirent et l'effet décoratif est atténué.
Lire aussi : Gloxinia ou Sinningia ? Description, types, culture à partir de graines ou de tubercules, soins, reproduction (50 Photos & Vidéos) + Avis la reproduction
Si la plante a suffisamment poussé et ne rentre pas dans le volume du récipient, elle doit être divisée en plusieurs parties. Produire une excavation soignée d'un buisson à partir d'un pot avec une motte de terre. À l'aide d'un couteau bien aiguisé, le rhizome est coupé en morceaux.
N'oubliez pas de traiter les points de coupe avec du charbon de bois broyé. Plantez les pièces résultantes dans de nouveaux conteneurs de plus petit volume. Il n'est pas recommandé d'immerger les plantes profondément dans le sol. Immédiatement après le repiquage, fournissez à la plante un arrosage abondant et de l'ombre.
A l'aide de boutures

Tige de campanule
- Les boutures sont très faciles à obtenir. Lors de la taille des pousses allongées, utilisez les parties inférieures pour l'enracinement.
- L'enracinement se fait mieux dans un mélange de tourbe et de sable.
- Pour les boutures, il est nécessaire de prévoir des conditions de serre, il est conseillé de recouvrir la plante d'un capuchon en polyéthylène et de la vaporiser régulièrement avec de l'eau provenant d'un flacon pulvérisateur.
- La température optimale d'enracinement est de 20-24°C.
- Une fois que les pousses ont atteint 7 à 10 centimètres, pincez leur sommet. Cette procédure provoque l'apparition de pousses supplémentaires. Vos buissons seront plus ramifiés.
signaux verts
Ce type de multiplication végétative doit être pratiqué au printemps, lorsque de jeunes branches vertes poussent près de la campanule. Ils peuvent être coupés et enracinés.
Comment bien faire :

Mini serre pour l'enracinement des boutures
Campanella prend racine assez rapidement, après deux semaines, de petites racines se forment. Une fois que les plantes ont commencé à développer activement la masse végétative, transférez-les dans un endroit plus lumineux et plus chaud.
Lorsqu'elle atteint une hauteur de dix centimètres, la plante doit être pincée pour qu'elle commence à se ramifier et à se buissonner.
Reproduction par graines
Les graines de cette plante sont très petites, elles ont besoin de briller superficiellement dans de petits bols remplis d'un mélange de terre. D'en haut, il est souhaitable de recouvrir les graines d'une fine couche de terre. Pour les graines pendant la période de germination, il est nécessaire de fournir un effet de serre, de l'envelopper avec une pellicule plastique ou du verre.

graines germées
Assurez-vous de fournir une ventilation périodique afin que la condensation ne s'accumule pas en excès. Après l'apparition de la troisième feuille, cueillez les semis, n'oubliez pas de pincer, cela vous permettra d'obtenir un buisson branchu.Les plantes issues de graines fleurissent généralement au cours de leur deuxième année.
Maladies et insectes nuisibles
À la maison, les plantes sont beaucoup moins sensibles aux maladies et aux ravageurs. Cependant, ils ne sont pas sécurisés à 100 %. Avec des soins inappropriés, un certain nombre de problèmes peuvent survenir.
Pourriture grise

Avec un engorgement constant du sol, lorsqu'il n'y a pas de drainage dans le pot de fleurs, l'eau stagne, ce qui entraîne à son tour une acidification du sol.
En sol humide, la pourriture grise se sent à l'aise. Avec la défaite de la pourriture grise, les plantes se fanent, le système racinaire commence à pourrir.
Dans la pièce où se trouve la fleur atteinte de pourriture grise, une odeur désagréable apparaît. Parfois, lorsque la pourriture va très loin, la fleur ne peut plus être sauvée.
Dans tous les cas, tout d'abord, il faut couper les branches et les feuilles pourries et jeter la vieille terre. Transplantez la fleur dans un nouveau sol léger, réduisez les arrosages.
Fusarium

Si les conditions de température ne sont pas respectées, ainsi qu'en l'absence de lumière, la viabilité de la plante diminue. Parfois, le Fusarium peut être observé sur la fleur "des mariés", il s'accompagne d'un jaunissement des extrémités des limbes des feuilles.
Dans les formes sévères, les feuilles meurent, les pousses se fanent à partir de la racine.
pourriture du coeur

Si vous trouvez des taches brunes en forme de cœur avec un revêtement gris sur les feuilles, il est probable que la plante soit atteinte de pourriture brune en forme de cœur. Cette maladie est causée par des champignons microscopiques pathogènes.
Pour les combattre, des fongicides sont utilisés, tout en réduisant les arrosages et en organisant une aération régulière des plantes.
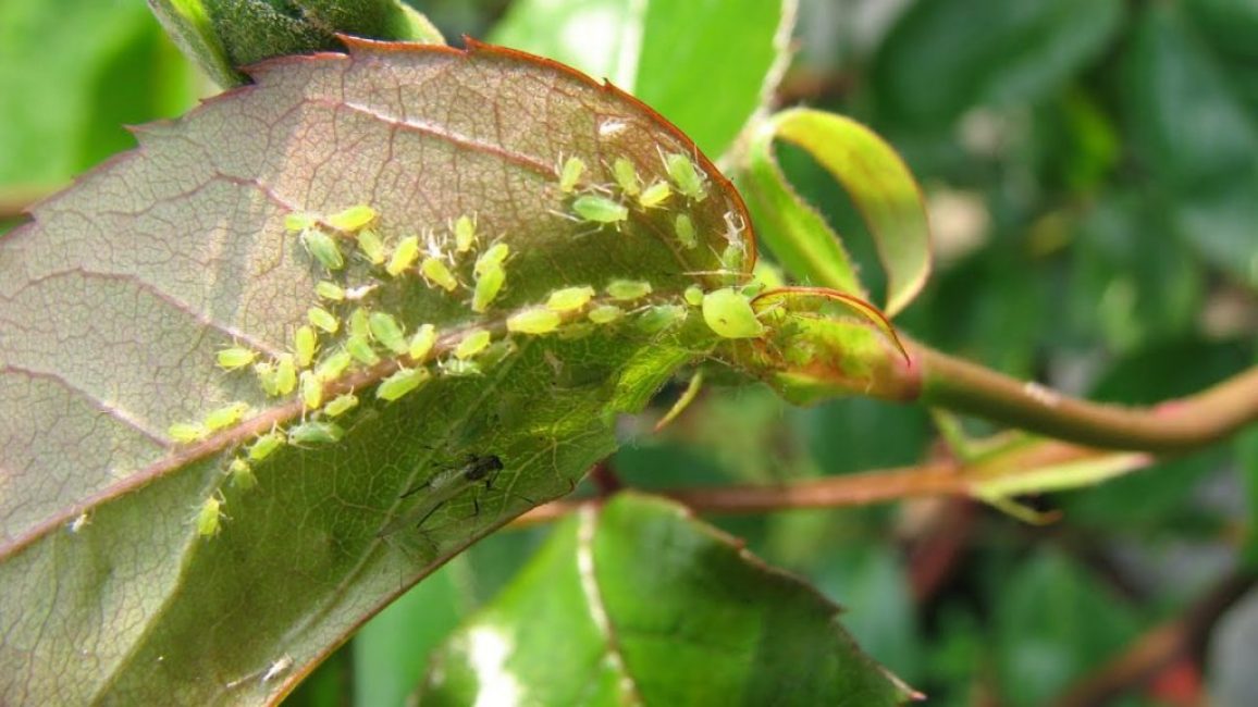
Tétranyque, puceron, cochenille

Si la plante est dans une pièce sèche, des pucerons ou des cochenilles peuvent apparaître. Aux premiers symptômes de ces maladies, traitez les plantes avec des préparations insecticides. La solution de savon est considérée comme un remède populaire éprouvé contre les pucerons et les cochenilles.
Le tétranyque est le fléau de nombreuses plantes d'intérieur. Utilisez un insecticide à large spectre pour le contrôler.
Un médicament efficace contre les pucerons

Le plus souvent, l'entreprise est touchée par les pucerons.
Le plus souvent, l'entreprise est touchée par les pucerons. Les pucerons se multiplient très rapidement, le combat doit donc commencer dès sa première apparition. Il est préférable d'utiliser des préparations systémiques qui non seulement détruisent le ravageur pendant le traitement, mais continuent également d'agir pendant un certain temps dans les plantes elles-mêmes.
Il existe un médicament "Biotlin", conçu pour protéger contre les insectes suceurs.
La solution de traitement est préparée à raison de 0,5 ml de médicament pour 1 litre d'eau. Pénétrant dans la plante après quelques heures, le médicament la protégera pendant au moins deux semaines.
Variétés
Hybrides éponge

Hybrides éponge
Récemment, les plus beaux hybrides de campanule éponge sont apparus. L'hybride éponge a été créé en croisant la campanule des Carpates et la campanule à feuilles de cuillère.
La companule éponge ressemble à un petit buisson parsemé de grandes fleurs doubles. Les tiges sont raccourcies, les feuilles sont densément disposées.
Il convient de rappeler que les formes éponge de fleurs, en règle générale, sont plus capricieuses et ne prennent pas racine chez tous les floriculteurs amateurs.
Campanule des Carpates

Campanule des Carpates dans des conditions naturelles
Cette plante peut pousser aussi bien à l'extérieur qu'à l'intérieur. C'est une plante herbacée ressemblant à un buisson.
Sa hauteur peut atteindre 30 cm Les feuilles sont situées en dessous en forme de rosette, elles sont de forme ovale.
Les fleurs sont assez grandes jusqu'à 6 cm de diamètre, elles sont blanches, bleues, lilas et violettes. Dans des conditions naturelles, cette plante se trouve dans les montagnes des Carpates.
Elle fleurit avec Peut à août.
Soins à domicile de la campanule / Fleurs des mariés
Fleur d'intérieur "Bride and Groom" ou Campanula: description, soins, reproduction et maladies possibles (50 Photos) + Avis